トップページ > 浜松市浜名区染地台3丁目 

販売物件情報

  • お気に入りリストを見る
  • 物件情報を印刷する
  • プリンタの設定で「背景を印刷する」と設定しないと「背景画像」が印刷されないことがあります。印刷の際には、必ず「背景を印刷する」設定にしてください。

土地

浜松市浜名区染地台3丁目 

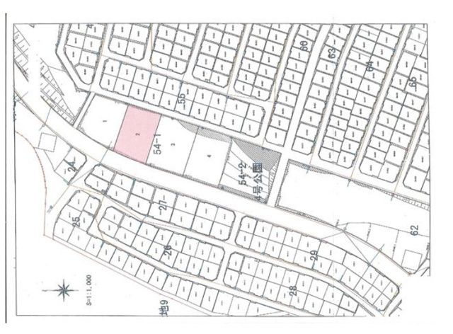
画像

この物件のお支払い例

頭金0円/ボーナス払い0円

物件価格7,648.8万円

月々の支払い211,489

※上記支払例の借入条件:金利0.9%、借入総額7,648.8万円、借入期間35年

所在地・交通

所在地 浜松市浜名区染地台3丁目 
最寄駅 徒歩分数
最寄バス停 内野台3丁目 徒歩分数 8分
小学校校区 浜松市立内野小学校 中学校校区 浜松市立浜名中学校

※学校区は住所から自動判定したものであり、保証できる情報ではございません。正確な学校区はお問い合わせ下さい。

お問い合わせフォームはこちら

「人型アイコン」を地図上にドラッグすることで『Google Street View』に切り替わります。

※地図上の「対象地」は「〒434-0046 静岡県浜松市浜名区染地台3丁目」の場所を指しています。実際の場所ではない場合がございます。詳しくはお問い合わせください。

お問い合わせフォームはこちら

物件概要

価格 7,648.8万円 種目 売地
土地面積 1685.68㎡ 私道面積
建ぺい率/容積率 50%/100% 都市計画 市街化区域
接道状況 西16m 公道 接面34m  東6m   二方道路(除角地)
地目 宅地
土地権利 地勢 高台
用途地域 第二種低層住居専用地域
現況 更地 取引態様 媒介

取引条件等

引渡し 相談

その他

条件等 建築条件付
設備 電気、都市ガス、上水道、下水道
諸条件・相談
情報登録日 2024年10月25日 情報更新予定日 2026年4月6日
物件番号 31708
最近見た物件

ページの先頭へ

Copyright (C) 静岡不動産×リフォームナビ, All Rights Reserved.