トップページ > 浜松市天竜区二俣町二俣 

販売物件情報

  • お気に入りリストを見る
  • 物件情報を印刷する
  • プリンタの設定で「背景を印刷する」と設定しないと「背景画像」が印刷されないことがあります。印刷の際には、必ず「背景を印刷する」設定にしてください。

土地

浜松市天竜区二俣町二俣 

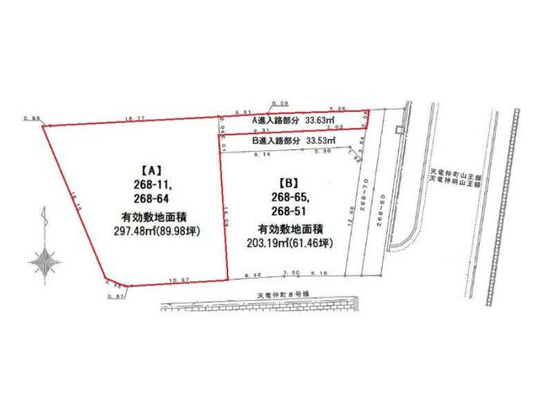
画像

この物件のお支払い例

頭金0円/ボーナス払い0円

物件価格985万円

月々の支払い27,235

※上記支払例の借入条件:金利0.9%、借入総額985万円、借入期間35年

所在地・交通

所在地 浜松市天竜区二俣町二俣 
最寄駅 浜名湖鉄道 二俣本町 徒歩分数 16分
最寄バス停 二俣中町 徒歩分数 10分
小学校校区 浜松市立二俣小学校 中学校校区 浜松市立清竜中学校

※学校区は住所から自動判定したものであり、保証できる情報ではございません。正確な学校区はお問い合わせ下さい。

お問い合わせフォームはこちら

「人型アイコン」を地図上にドラッグすることで『Google Street View』に切り替わります。

※地図上の「対象地」は「〒431-3314 静岡県浜松市天竜区二俣町二俣」の場所を指しています。実際の場所ではない場合がございます。詳しくはお問い合わせください。

お問い合わせフォームはこちら

物件概要

価格 985万円 種目 売地
土地面積 331.11㎡ 私道面積
建ぺい率/容積率 60%/150% 都市計画 市街化区域
接道状況 東4.0m 公道 接面2.0m    一方道路
地目 宅地
土地権利 地勢 平坦
用途地域 第二種中高層住居専用地域
現況 更地 取引態様 媒介

取引条件等

引渡し 即時

その他

条件等
設備 電気、上水道、下水道、側溝、*上水道引込工事費用330,000円(税込)を価格に含む。*下水道受益者負担金430円/㎡価格に含む。*A号地-買主にて下水道2号申請必要。
諸条件・相談
情報登録日 2024年10月25日 情報更新予定日 2026年4月6日
物件番号 31719
最近見た物件
浜松市天竜区春野町堀之内 土地面積:3762㎡

ページの先頭へ

Copyright (C) 静岡不動産×リフォームナビ, All Rights Reserved.