トップページ > 静岡市駿河区小鹿3丁目 

販売物件情報

  • お気に入りリストを見る
  • 物件情報を印刷する
  • プリンタの設定で「背景を印刷する」と設定しないと「背景画像」が印刷されないことがあります。印刷の際には、必ず「背景を印刷する」設定にしてください。

土地

静岡市駿河区小鹿3丁目 

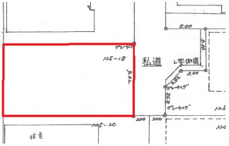
画像

この物件のお支払い例

頭金0円/ボーナス払い0円

物件価格2,631万円

月々の支払い72,747

※上記支払例の借入条件:金利0.9%、借入総額2,631万円、借入期間35年

所在地・交通

所在地 静岡市駿河区小鹿3丁目 
最寄駅 JR東海道本線 東静岡 徒歩分数
最寄バス停 曲金六丁目 徒歩分数 6分
小学校校区 静岡市立西豊田小学校 中学校校区 静岡市立豊田中学校

※学校区は住所から自動判定したものであり、保証できる情報ではございません。正確な学校区はお問い合わせ下さい。

お問い合わせフォームはこちら

「人型アイコン」を地図上にドラッグすることで『Google Street View』に切り替わります。

※地図上の「対象地」は「〒422-8021 静岡県静岡市駿河区小鹿3丁目」の場所を指しています。実際の場所ではない場合がございます。詳しくはお問い合わせください。

お問い合わせフォームはこちら

物件概要

価格 2,631万円 種目 売地
土地面積 159.05㎡ 私道面積
建ぺい率/容積率 60%/200% 都市計画
接道状況 北東4m 接面9m    
地目 宅地
土地権利 所有権 地勢
用途地域 第一種住居地域
現況 取引態様 媒介

取引条件等

引渡し 相談

その他

条件等
設備 都市ガス、下水道
諸条件・相談
情報登録日 2026年1月24日 情報更新予定日 2026年2月8日
物件番号 47937
最近見た物件

ページの先頭へ

Copyright (C) 静岡不動産×リフォームナビ, All Rights Reserved.